Studien
Studientracker
Kombinierte Auswirkungen chronisch hoher Glukose- und Fluoridkonzentrationen auf Nierenzellen: explorative In-vitro- und In-vivo-Studie.Abstract
Volltextstudie online unter
https://link.springer.com/article/10.1007/s10735-025-10670-6
Fluorid wird in der Zahnmedizin häufig zur Kariesprophylaxe eingesetzt. Eine übermäßige Exposition kann jedoch Risiken für Weichgewebe, insbesondere die Nieren, bergen, da diese für etwa 60 % der Fluoridausscheidung verantwortlich sind. Die diabetische Nephropathie, eine Hauptkomplikation des Diabetes mellitus, weist möglicherweise gemeinsame pathogene Mechanismen mit der fluoridinduzierten Nierentoxizität auf. Die kombinierten Auswirkungen chronischer Hyperglykämie und Fluoridexposition auf Nierenzellen sind jedoch noch unzureichend erforscht. Diese Studie untersuchte die Effekte von Fluorid auf murine Nierentubulusepithelzellen (M-1) und auf murine Nieren unter normalen und hyperglykämischen Bedingungen. M-1-Zellen wurden unter hohen Glukosekonzentrationen (22.5 mM) kultiviert und/oder 24 bis 72 Stunden lang mit Fluorid (1 µM oder 5 µM) behandelt. Diabetische C57BL/6J-Mäuse erhielten 21 Tage lang Trinkwasser mit Fluorid (10 mgF/L oder 50 mgF/L). Die Untersuchungen umfassten die Zellviabilität und -morphologie in vitro, die Kollagenablagerung im Nierengewebe mittels Doppelbrechungsanalyse sowie die Expression des Nierenschädigungsmarkers KIM-1 mittels Immunfluoreszenz in beiden Modellen. M-1-Zellen, die nur Fluorid ausgesetzt waren, zeigten nach 72 Stunden eine erhöhte Viabilität, während die KIM-1-Expression unter Bedingungen mit hohem Glukosespiegel und hohem Glukosespiegel + 1 µM Fluorid erhöht war, was auf eine Stress- oder Anpassungsreaktion hindeutet. Bei diabetischen Mäusen wurde eine glomeruläre Kollagenakkumulation beobachtet, die auf eine beginnende Fibrose hinweist, jedoch durch die Fluoridbehandlung abgeschwächt wurde. Hohe KIM-1-Werte in mit Fluorid behandelten diabetischen Mäusen, insbesondere bei der höheren Dosis, wiesen jedoch auf eine potenzielle Nierenschädigung hin. Diese Ergebnisse verdeutlichen eine komplexe, duale Rolle von Fluorid in der diabetischen Niere: Es kann potenziell vor glomerulärer Fibrose schützen, während es in hohen Dosen tubuläre Schäden verschlimmert. Eine sorgfältige Überwachung der Fluoridexposition ist erforderlich, insbesondere in Gebieten mit endemischer Fluorose und hohem Risiko für chronische Nierenerkrankungen.
Einführung
Fluorid (F) ist ein natürlich vorkommendes Element und findet sich häufig in verschiedenen Produkten, darunter Zahnpflegeprodukte, Getränke, Lebensmittel und vor allem im fluoridierten Trinkwasser. Die Trinkwasserfluoridierung durch öffentliche Wasserversorger zählt zu den bedeutendsten Errungenschaften im Bereich der öffentlichen Gesundheit des 20. Jahrhunderts und ist weithin für ihre Wirksamkeit bei der Kariesprävention anerkannt (Dionizio et al.). 2020Die Weltgesundheitsorganisation (WHO) empfiehlt einen Richtwert von 1.5 mg/L für Fluorid im Trinkwasser, während die American Dental Association (ADA) und das US-Gesundheitsministerium einen niedrigeren Richtwert von 0.7 mg/L vorschlagen (Arakawa et al.). 2009; Meenakshi et al. 2024Die Aufrechterhaltung optimaler Fluoridkonzentrationen ist entscheidend, um den Nutzen für die Zahngesundheit zu maximieren und gleichzeitig potenzielle Nebenwirkungen zu minimieren.
Während niedrigere chronische Fluoridkonzentrationen bei der Kariesprävention von Vorteil sein können, gibt eine Exposition oberhalb der von der WHO empfohlenen Grenzwerte Anlass zur Sorge hinsichtlich potenzieller negativer Auswirkungen auf kalzifiziertes und Weichgewebe (Barbier et al., 2010; Wei et al. 2014Nach der Resorption im Magen-Darm-Trakt verteilt sich F im ganzen Körper und erreicht alle Gewebe (Lupo et al.). 2011Aufgrund seiner starken Affinität zu kalzifizierten Geweben reichert sich F vorwiegend in Knochen, Dentin und Zahnschmelz an, wobei ein Überschuss hauptsächlich über den Urin ausgeschieden wird (Saad et al. ). 2022Die Auswirkungen einer chronischen Fluoridbelastung auf Hartgewebe sind gut dokumentiert. Es gibt Hinweise darauf, dass der akute oder chronische Konsum hoher Konzentrationen zu Zahnfluorose und Skelettfluorose führen kann, die durch eine Hypomineralisierung der Zahnstrukturen bzw. durch brüchige Knochen gekennzeichnet sind (Arakawa et al.). 2009; Meenakshi et al. 2024Ein kleiner Teil des Fluorids wird jedoch von Weichgewebe aufgenommen, während eine hohe Fluoridbelastung zu nicht-skelettaler Fluorose führen kann. Tatsächlich konnte gezeigt werden, dass Fluorid eine Vielzahl von Weichgeweben, wie beispielsweise die Nieren, beeinflussen kann, doch der Einfluss von Fluorid auf den Zellstoffwechsel dieser Organe ist noch nicht vollständig geklärt (Meenakshi et al.). 2024).
Frühere Studien haben gezeigt, dass nicht-skelettale Fluorose wichtige Stoffwechselwege stören und verschiedene Enzyme hemmen kann, darunter auch solche, die am glykolytischen Stoffwechselweg beteiligt sind (Barbier et al., 2010Beispielsweise kann Fluorid den Glukosestoffwechsel beeinflussen, wobei eine längere Exposition potenziell zu Insulinresistenz und beeinträchtigter Glukosetoleranz führen kann. Es kann die Funktion der pankreatischen Beta-Zellen stören und möglicherweise auch den Insulin-Signalweg beeinflussen, was zur Insulinresistenz beiträgt (Meenakshi et al.). 2024Darüber hinaus haben einige Studien an Mausmodellen gezeigt, dass die Aufnahme von F die Insulinsensitivität in Geweben wie Nieren, Leber, Lunge und Milz erhöht (Lupo et al. 2011; Trivedi et al. 1993Andere Studien an Mausmodellen haben gezeigt, dass sowohl die chronische als auch die akute Aufnahme von F die Proteinexpression in Leber, Muskeln, Nieren und Darm verändert (Dionizio et al. 2019; Kobayashi et al. 2009; Lima Leite et al. 2014Lobo et al. 2015; Pereira et al. 2018Unter diesen Organen sind die Nieren von besonderer Bedeutung, da sie für 60 % der gesamten täglich absorbierten Fluorid-Elimination verantwortlich sind, wodurch sie etwa 4- bis 5-mal anfälliger für Fluorid-Toxizität sind als andere Organe (Kobayashi et al.). 2009).
Diese Ergebnisse unterstreichen die klinische Bedeutung einer übermäßigen Fluoridaufnahme, insbesondere für Bevölkerungsgruppen mit Stoffwechselstörungen wie Diabetes mellitus (DM), speziell Typ-2-Diabetes mellitus (T2DM). DM ist eine persistierende Stoffwechselstörung, die durch chronische Hyperglykämie gekennzeichnet ist und entweder auf eine unzureichende Insulinproduktion (Typ 1) oder auf eine fehlende Reaktion der Insulinrezeptoren (Typ 2) zurückzuführen ist (Hossain et al.). 2024; Meenakshi et al. 2024Typ-1-Diabetes mellitus (T1DM) entsteht primär durch die autoimmune Zerstörung der Beta-Zellen der Bauchspeicheldrüse, während Typ-2-Diabetes maßgeblich von genetischen Faktoren, der Ernährung, Übergewicht und einem sitzenden Lebensstil beeinflusst wird (Hossain et al.). 2024Die Internationale Diabetes-Föderation (IDF) berichtet, dass weltweit über 500 Millionen Menschen von Diabetes betroffen sind. Prognosen zufolge wird die Prävalenz bis 2045 um 30 % steigen (IDF Diabetes Atlas Group, 2011). Diabetes mellitus (DM) ist neben zahlreichen anderen Komplikationen weltweit die häufigste Ursache für chronische Nierenerkrankungen (CKD) (Merchant und Klein). 2007Die diabetische Nephropathie (DN), die Hauptursache für chronische Nierenerkrankungen bei Diabetikern, resultiert typischerweise aus anhaltender Hyperglykämie, Stoffwechselstörungen und genetischen Faktoren (Merchant und Klein). 2007Die weltweite Inzidenz der diabetischen Nephropathie (DN) ist in den letzten Jahren gestiegen, vor allem aufgrund der zunehmenden Verbreitung von Typ-2-Diabetes. Schätzungsweise 35–40 % der Menschen mit Diabetes mellitus entwickeln eine DN (Merchant und Klein). 2007In diesem Zusammenhang besteht bei Personen mit Diabetes mellitus, die in endemischen Fluorosegebieten leben, möglicherweise ein höheres Risiko, dass sich eine bestehende diabetische Nephropathie verschlimmert oder die Krankheitsbehandlung durch Weichteiltoxizitätsmechanismen beeinträchtigt wird (Meenakshi et al.). 2024).
Das Nierenschädigungsmolekül-1 (KIM-1) ist ein Typ-1-Transmembran-Glykoprotein, dessen Expression als Reaktion auf ischämische oder toxische Schädigungen der Nieren erhöht ist. In gesunden Nieren ist seine Expression minimal oder fehlt vollständig; nach einer Schädigung wird KIM-1 jedoch insbesondere von den proximalen Tubulusepithelzellen der Niere hochreguliert (Humphreys et al.). 2013; Ichimura et al. 2004Aufgrund seiner hohen Sensitivität und Spezifität als Marker für tubuläre Schäden gilt KIM-1 als zuverlässiger Indikator für Nierenschädigung. In diesem Projekt wurde KIM-1 als wichtiger Biomarker ausgewählt, da seine Hochregulation nicht nur die Früherkennung von Nierenschädigungen ermöglicht, sondern auch fortschreitende Entzündungs- und Fibroseprozesse widerspiegelt (Humphreys et al.). 2013; Huo et al. 2010).
Angesichts der erhöhten Anfälligkeit von Patienten mit Diabetes mellitus für die Entwicklung einer chronischen Nierenerkrankung (CKD) ist es unerlässlich, die Rolle der Fluoridtoxizität im Nierengewebe zu untersuchen. Interessanterweise können die Fluoridkonzentrationen in der Niere je nach Expositionskontext erheblich variieren, wodurch dieses Organ besonders anfällig für fluoridbedingte Schäden ist, abhängig von der Fluoridkonzentration (Barbier et al., 2000). 2010Eine epidemiologische Studie an einer mexikanischen Bevölkerungsgruppe zeigte, dass bestimmte Biomarker für Nierenschädigung, wie z. B. KIM-1, möglicherweise mit einer chronischen Fluoridbelastung aus der Umwelt und tubulären Zellschäden bei gefährdeten Gruppen in Zusammenhang stehen (Jiménez-Córdova et al.). 2018Trotz zahlreicher Berichte in der Literatur über die Toxizität von Fluorid in verschiedenen Geweben ist unser Verständnis der zellulären und molekularen Mechanismen, die für diese Effekte in den Nieren verantwortlich sind, weiterhin begrenzt, insbesondere hinsichtlich der Dosiskonzentrationen und ihrer kombinierten Wirkungen unter chronisch hyperglykämischen Bedingungen. Ziel der vorliegenden Studie ist es daher, den Einfluss von Fluoriden auf den Nierenschädigungsmarker KIM-1, die Zellviabilität und histologische Parameter unter chronisch hyperglykämischen Bedingungen mithilfe von In-vitro- und In-vivo-Modellen zu untersuchen.
Material und Methoden
Zellkultur und Behandlungen
Die Zelllinie M-1 CRL-2038, die von Epithelzellen des kortikalen Sammelrohrs der Niere abstammt, wurde von der ATCC (American Type Culture Collection) bezogen. Diese Zelllinie wurde aus normalem Nierengewebe etabliert. Mus musculus transgene Mäuse. Die Zellen wurden in 25 cm großen Kulturgefäßen kultiviert.2 Die Zellen wurden in Plastikflaschen mit DMEM F12 (D8437, Sigma-Aldrich) gefüllt, dem 10 % fötales Kälberserum (FB12999102, Fisher Scientific) zugesetzt war. Sie wurden in einem Inkubator bei 37 °C und 5 % CO₂ kultiviert.2Die Zellen wurden unter Luftatmosphäre kultiviert, und das Kulturmedium wurde alle zwei Tage gewechselt. M-1-Zellen wurden in regulärem Glukose-DMEM-F12-Medium (17.5 mM Glukose) als Kontrolle (Ctrl) oder in Medium mit hohem Glukosespiegel (22.5 mM Glukose) zur Simulation einer hyperglykämischen Umgebung (HG-Gruppe) ausgesät. Die Wahl von 22.5 mM Glukose zur Simulation einer Hyperglykämie basierte auf früheren Studien, in denen diese Konzentration Veränderungen hervorrief, die mit einem hyperglykämischen Zustand übereinstimmten (Gstraunthaler et al.). 1999Mei et al. 2022Eine Osmolaritätskontrollgruppe wurde mit regulärem DMEM F12 kultiviert, dem 5 mM Mannitol zugesetzt wurden, um eine Osmolarität von 22.5 mM zu erreichen (Mei et al.). 2022Um die Auswirkungen von Fluorid (F) zu untersuchen, wurden M-1-Zellen mit Natriumfluorid (NaF) in Konzentrationen von 1 µM (F1) oder 5 µM (F5) behandelt. Diese Konzentrationen wurden basierend auf den in menschlichem Serum und Urin gemessenen Fluoridwerten ausgewählt und spiegeln die Exposition in Regionen mit normalen bis niedrigen Fluoridkonzentrationen (1–2.4 mgF/L) sowie in Gebieten mit erhöhter Fluoridbelastung (910–80 mgF/L) wider (Mendoza-Schulz et al.). 2009Ribeiro et al. 2017Die Behandlungsvorbereitung erfolgte gemäß dem zuvor von Buzalaf et al. beschriebenen Protokoll.2001Zunächst wurde eine Stammlösung von 40 mM NaF (F1019, LabSynth) durch Verdünnen in 1×PBS hergestellt. Diese Lösung wurde anschließend in einer Laminar-Flow-Box filtriert und bei -20 °C gelagert. Am Tag des Experiments wurde die Stammlösung mit DMEM F12, ergänzt mit 10 % FBS, bzw. mit hochglukosehaltigem DMEM F12, ergänzt mit 10 % FBS, auf die gewünschten Konzentrationen (1 µM oder 5 µM) verdünnt. Zellen wurden in regulärem DMEM F12-Medium ausgesät, über Nacht anhaften gelassen und anschließend für 24 h, 48 h und/oder 72 h mit hochglukosehaltigem (HG), fluorhaltigem (F) oder einer Kombination aus beidem behandelt. Alle Behandlungsgruppen sind in Tabelle 1 dargestellt. 1Für die In-vitro-Experimente wurden mindestens drei unabhängige Experimente durchgeführt, jeweils mit vier technischen Replikaten pro Bedingung, um die Reproduzierbarkeit der Ergebnisse zu gewährleisten.
Tiere und Versuchsdesign
Tierversuche wurden nach Genehmigung durch die zuständige Ethikkommission für Tierversuche (CEEPA-FOB/USP 001/2019 und CEEPA-FOB/USP 003/2022) und gemäß den Empfehlungen des Leitfadens für die Haltung und Verwendung von Labortieren des Institute of Laboratory Animal Resources (Institute of Laboratory Animal Resources (US), 2021) durchgeführt. 42 Tage alte männliche C57BL/6- und C57BL/6J-Mäuse wurden nach einer 7-tägigen Eingewöhnungsphase unter kontrollierten Bedingungen von der Universität São Paulo bezogen. Die Mäuse wurden unter Standardbedingungen (Temperatur: 22–14 °C, Luftfeuchtigkeit: 60 %, 12-Stunden-Hell-Dunkel-Zyklus) gehalten und erhielten Futter und Wasser. nach Belieben Sowohl vor als auch während des Versuchszeitraums wurden die Tiere in Gruppen von 3 Tieren pro Käfig gehalten. Das Körpergewicht der Tiere wurde wöchentlich von Woche 0 bis zum Ende des Versuchszeitraums (Woche 12) überwacht. Der C57BL/6 J-Stamm wurde aufgrund seiner gut dokumentierten genetischen Prädisposition für Insulinresistenz und gestörten Glukosestoffwechsel ausgewählt, wodurch er sich zur Modellierung von Typ-2-Diabetes eignet. Der C57BL/6-Stamm hingegen repräsentiert eine normoglykämische Ausgangslage ohne diese genetische Prädisposition (Srinivasan und Ramarao, 2005). 2004Daher wurde der Vergleich dieser Stämme so konzipiert, dass er den biologischen Kontrast zwischen metabolisch gesunden und diabetesanfälligen Phänotypen widerspiegelt, anstatt F-Effekte innerhalb eines einzelnen genetischen Hintergrunds zu isolieren. 30 C57BL/6J-Mäuse wurden mindestens 8 Wochen lang mit einer fettreichen Diät (<1 mg/kg F) gefüttert, bis sie 30 g erreichten (Gilbert et al.). 2011Die Anzahl der Tiere pro Gruppe (n=10) wurde auf der Grundlage früherer Studien mit ähnlichen Protokollen für Diabetes und chronische Fluoridexposition bestimmt und entsprach auch der vom lokalen institutionellen Ausschuss für Tierpflege und -nutzung (CEEPA) als angemessen erachteten Stichprobengröße (Dionizio et al.). 2019; Gilbert et al. 2011; Pereira et al. 2013Anschließend wurde der vollständige Phänotyp des Diabetes mellitus (DM) durch intraperitoneale Injektionen von Streptozotocin (STZ) in einer Dosis von 40 mg/kg an drei aufeinanderfolgenden Tagen erreicht. Die Diagnose DM wurde durch Nüchternblutzuckerwerte von über 200 mg/dl innerhalb einer Woche nach der letzten STZ-Injektion bestätigt. Die Blutzuckerwerte wurden eine Woche vor und eine Woche nach der STZ-Induktion mit einem Blutzuckermessgerät (Accu-Chek Performa, Roche Diagnostics, Mannheim, Deutschland) gemessen. Die Blutproben wurden aus der Schwanzvene der Tiere entnommen. Die diabetischen Mäuse erhielten anschließend 21 Tage lang mit Natriumfluorid (NaF) angereichertes Trinkwasser und wurden anhand der Fluoridkonzentrationen in drei Gruppen (n = 10) eingeteilt. Die für diese Studie gewählten Konzentrationen basierten auf Regionen mit niedrigen bis normalen Fluoridwerten (1–2.4 mgF/l) und Regionen mit erhöhten Fluoridwerten (10–80 mgF/l) (Mendoza-Schulz et al.). 2009Da der F-Stoffwechsel bei Nagetieren 5- bis 10-mal schneller ist als beim Menschen, entsprechen die im Tiermodell verwendeten Konzentrationen von 10 und 50 mgF/L den Konzentrationen von 1 mgF/L bzw. 5 mgF/L beim Menschen (Buzalaf et al.). 2001Die Fluoridlösungen wurden entsprechend der gewünschten Konzentration hergestellt. Für die 10 mgF/L-Lösung wurden 110.52 mg NaF (F1019, LabSynth) abgewogen und in 5 L Milli-Q-Wasser verdünnt. Für die 50 mgF/L-Lösung wurden 552.6 mg NaF unter den gleichen Bedingungen verwendet. Die hergestellten Lösungen wurden in Plastikflaschen bei 4 °C gelagert und den Tieren als Trinkwasser verabreicht. Alle zwei Wochen oder nach Bedarf wurde eine neue Lösung zubereitet. Die Fluoridkonzentration im künstlich fluorierten Wasser wurde wie zuvor von Pereira et al. beschrieben überprüft.2013Die Messungen der Fluoridionen (F⁻) wurden mit einer ionenselektiven Elektrode (Accumet, Nr. 13–620-79) durchgeführt, die an ein Potentiometer (Orion Research, Modell EA940) angeschlossen war. Fluorid-Standards im Bereich von 100, 50, 10 und 1 ppm wurden mit den Orion™ ISE-Kalibrierstandards (Orion 940,907, Thermo Scientific) in dreifacher Ausführung hergestellt. Abschließend wurden die Elektrodenpotentiale (mV) mithilfe einer Standardkalibrierungskurve mit einem Korrelationskoeffizienten von r > 0.99 in Fluoridkonzentrationen (µg F) umgerechnet. Eine Übersicht der Tiergruppen findet sich in Tabelle 1. 2Um eine geeignete nicht-diabetische Kontrollgruppe zu etablieren, wurden zehn männliche C57BL/6-Mäuse in die Studie aufgenommen. Diese Tiere wurden unter den gleichen Bedingungen und im gleichen Versuchszeitraum wie die behandelten C57BL/6-J-Gruppen gehalten und erhielten über die gesamte Dauer von 21 Tagen eine normokalorische Diät und fluoridfreies Wasser. Am Ende des Versuchszeitraums (21 Tage) wurden die Tiere durch CO₂-Inhalation euthanasiert.2 Kammer und Nieren wurden zur Analyse entnommen. Für die histologische Untersuchung wurden die Proben 24 Stunden lang in 10%igem gepuffertem Formalin fixiert, 12 Stunden lang unter fließendem Wasser gewaschen und anschließend histologisch aufgearbeitet, um Doppelbrechungs- und Immunfluoreszenzanalysen durchzuführen.
F-Quantifizierung im Nierengewebe
Die F-Konzentrationen in den Nierenproben wurden anhand des von Pereira et al. beschriebenen Protokolls quantifiziert.2018), mit geringfügigen Anpassungen. Kurz gesagt, Nierenproben (nProben (n = 6 pro Gruppe) wurden nach über Nacht erfolgter Diffusion mit Hämatyldisiloxan (HMDS) in Doppelbestimmung analysiert. Die freigesetzten Fluoridionen wurden mit einer ionenselektiven Elektrode (Accumet, Nr. 13-620-79), die an ein Potentiometer (Orion Research, Modell EA 940) angeschlossen war, gemessen. Fluorid-Standards mit Konzentrationen von 100, 50, 10 und 1 ppm wurden mit den Orion™ ISE-Kalibrierstandards (Orion 940907, Thermo Scientific) in Dreifachbestimmung hergestellt und dem gleichen Diffusionsprozess wie die Gewebeproben unterzogen. Zusätzlich wurden nicht-diffundierte Standards mit identischen Fluoridkonzentrationen hergestellt, um die Wiederfindungsrate zu überprüfen. Der Vergleich der Millivolt-Messwerte bestätigte die vollständige Wiederfindung des Fluorids aus den diffundierten Standards (Wiederfindungsrate > 95 %). Abschließend wurden die Elektrodenpotentiale (mV) mithilfe einer Standardkalibrierungskurve mit einem Korrelationskoeffizienten von in Fluoridkonzentrationen (µg F) umgerechnet. r>0.99 (Pereira et al. 2013).
Zelllebensfähigkeitstest
Die Zellviabilität wurde mittels MTS-Assay (G5421, Promega Corporation) gemäß den Herstellerangaben bestimmt. Kurz gesagt, wurden konfluente M-1-Zellkulturen mit 0.25 % Trypsin (25300054, Gibco) dissoziiert und in einer Dichte von 5 × 10⁴ Zellen pro Well in 96-Well-Platten ausgesät.3 Zellen pro Vertiefung. Die Zellen wurden unter verschiedenen Bedingungen behandelt (Tabelle 1Die Zellviabilität wurde nach 24, 48 und 72 Stunden Behandlung bestimmt. Alle Assays wurden mit mindestens vier technischen Replikaten, zwei verschiedenen Zellpassagen und in zwei unabhängigen Experimenten durchgeführt. Nach vierstündiger Inkubation mit MTS wurde die Viabilität durch Messung der Absorption bei 490 nm mit einem Mikroplatten-Spektralphotometer (Agilent Biotek Epoch) bestimmt und die Daten mit der Gen6-Software analysiert. Die Absorptionswerte wurden anschließend anhand der Werte der Kontrollwells (Ctrl) in Prozent normiert.
Immunfluoreszenz-Assay
Zur Charakterisierung der Zellmorphologie von M-1-Zellen wurde eine Immunfluoreszenzanalyse mit dem Fluorophor F-Aktin und dem Marker KIM-1 sowohl in Nierengewebe von Mäusen als auch in M-1-Zellen durchgeführt. Für den In-vitro-Assay wurden M-1-Zellen in 24-Well-Platten auf sterilen Deckgläschen mit einer Zelldichte von 20 × 10⁶ Zellen/Well kultiviert.3 Zellen/Well nach experimentellen Behandlungen in Tabelle 1Anschließend wurden die Zellen mit 1xPBS gewaschen und 15 Minuten lang mit 4% Formaldehyd fixiert. Paraffinschnitte von Mäusenieren mit einer Dicke von 4 Mikrometern wurden wie zuvor beschrieben (Biguetti et al.) durch Entparaffinierung und Rehydratisierung behandelt, gefolgt von einer Antigenrückgewinnung. 2021Sowohl Zellen als auch Gewebeproben wurden 2 h lang mit einem primären Anti-Maus-KIM-1-Antikörper (AF1817, R&D Systems) in einer Verdünnung von 1:150 inkubiert. Anschließend wurden die Proben 2 h lang im Dunkeln bei Raumtemperatur mit einem biotinylierten FITC-markierten sekundären Antikörper (1:150; T2769, Thermo Fisher Scientific) behandelt. Negative Kontrollen mit Zellen oder Gewebeproben ohne primären Antikörper wurden durchgeführt, um unspezifische Bindungen auszuschließen. Vor der Inkubation mit dem primären Antikörper wurde eine Blockierungslösung aufgetragen, um unspezifische Bindungen zu minimieren. Der primäre Antikörper wurde in PBS mit 1 % BSA verdünnt. Nach dem Waschen wurde DAPI (1:1000) zur Kernfärbung zugegeben. Zur F-Aktin-Analyse und morphologischen Untersuchung wurden M-1-Zellen gemäß Herstellerangaben mit Phalloidin (ab176753, Abcam) gefärbt. Nach dem Waschen wurde DAPI (1:1000) zur Kernfärbung zugegeben. Die Fluoreszenzmikroskopie wurde mit einem Nikon NiU Eclipse Upright Fluoreszenzmikroskop mit DAPI- und FITC-Filtern durchgeführt. Die Bildaufnahmeparameter wurden für alle Proben standardisiert: Für DAPI wurde eine Belichtungszeit von 30 ms, eine D-LEDI-Pad-Intensität von 15 % und ein LUT-Bereich von 203 bis 3694 verwendet; für FITC betrug die Belichtungszeit 200 ms, die D-LEDI-Pad-Intensität 45 % und der LUT-Bereich 242 bis 25,000. Alle Bilder wurden mit diesen festgelegten Parametern aufgenommen und verarbeitet, um die Vergleichbarkeit der Versuchsgruppen zu gewährleisten und bildaufnahmebedingte Schwankungen zu minimieren. LUT- und Belichtungseinstellungen blieben für alle analysierten Felder und Proben konstant. Die Bildanalyse erfolgte mit der Software NIS-Elements.
Doppelbrechungsanalyse
Für die qualitative Doppelbrechungsanalyse mittels Pikrosiriusrot-Färbung wurden 4 µm dicke, semi-serielle Nierenschnitte angefertigt. Alle Präparate wurden bei 10-facher und 20-facher Vergrößerung mit Polarisationsfiltern an einem inversen Binokularmikroskop (Leica DM IRB/E, Leica Microsystems Wetzlar GmbH, Wetzlar, Deutschland) analysiert. Die Bilder wurden mit der Leica Imaging Software (LAX, Leica, Leica Microsystems Wetzlar GmbH, Wetzlar, Deutschland) aufgenommen. Die Analyse und die Vorgehensweise entsprachen den zuvor beschriebenen Methoden (Biguetti, Cavalla et al., 2018; Biguetti, Vieira et al.). 2018a, b), wobei grüne Doppelbrechung auf dünne Fasern hinweist, während gelbe und rote Doppelbrechung auf dicke Kollagenfasern hinweisen.
statistische Analyse
Alle quantitativen Daten wurden zunächst mittels Shapiro-Wilk-Test auf Normalverteilung und mittels Bartlett-Test auf Homogenität geprüft, um geeignete parametrische oder nicht-parametrische statistische Tests auszuwählen. Ausreißer wurden vor der statistischen Auswertung mittels ROUT-Methode mit einer Falsch-Entdeckungsrate von 5 % identifiziert und entfernt. Normalverteilte Daten wurden mit dem parametrischen Test der einfaktoriellen Varianzanalyse (ANOVA) analysiert, nicht normalverteilte Daten mit dem nicht-parametrischen Kruskal-Wallis-Test. Die Werte von pWerte < 0.05 wurden für alle Analysen als statistisch signifikant betrachtet. Die Tests wurden mit der Software GraphPad InStat Version 10.0 für Windows (GraphPad, San Diego, CA) durchgeführt.
Ergebnisse
Glukosemessung
Zur Bestätigung der Diagnose Diabetes mellitus Typ 2 wurde der Nüchternblutzucker eine Woche vor und eine Woche nach der STZ-Injektion gemessen. Vor der Induktion zeigten sich keine signifikanten Unterschiede zwischen den Gruppen (Mittelwert ± Standardabweichung): Ctrl (139 ± 20.93 mg/dl), HG (140 ± 8.09 mg/dl), F1+HG (136.2 ± 22.21 mg/dl) und F5+HG (127.2 ± 12.33 mg/dl). Wie erwartet, wiesen nach der STZ-Gabe alle diabetischen Gruppen – HG (239.8 ± 22.36 mg/dl), F1+HG (290 ± 70.94 mg/dl) und F5+HG (289.1 ± 73.74 mg/dl) – signifikant höhere Blutzuckerwerte auf als die Kontrollgruppe (126.7 ± 18.19 mg/dl). p<0.05; Abb. S1 im Anhang). Die Analysen wurden mit Gruppengrößen im Bereich von n=8–10.
Körpergewicht
In Woche 0 wurden keine signifikanten Unterschiede zwischen den Gruppen beobachtet (Mittelwert ± Standardabweichung): Ctrl (21.20 ± 1.03 g), HG (21.77 ± 1.42 g), F1+HG (19.81 ± 1.68 g) und F5+HG (19.81 ± 3.082 g) (Ergänzende Abb. 3A). Nach 8 Wochen fettreicher Ernährung wiesen alle Gruppen, die dieser Ernährung ausgesetzt waren – HG (30.57 ± 1.279 g), F1+HG (30.84 ± 1.027 g) und F5+HG (30.27 ± 0.907 g) – ein signifikant höheres Körpergewicht im Vergleich zur Ctrl-Gruppe (26.51 ± 1.279 g) auf. p<0.05; Abb. S3B im Anhang), die eine normokalorische Diät erhielten. In Woche 12 nach der Behandlungsperiode wurden keine signifikanten Unterschiede im Körpergewicht zwischen den Gruppen beobachtet: Ctrl (29.07±1.864 g), HG (27.02±2.794 g), F1+HG (29.01±1.346 g) und F5+HG (29.13±2.029 g) (Abb. S3C im Anhang).
F-Quantifizierung im Nierengewebe
Die mittleren (±SD) Nieren-F-Werte für Ctrl, HG, F1+HG und F5+HG betrugen 0.052±0.0204 µg/g, 0.40±0.115 µg/g, 0.93±0.0320 µg/g bzw. 0.40±0.174 µg/g. Die in der Gruppe F5+HG beobachteten F-Werte waren im Vergleich zu den Gruppen Ctrl, HG und F1+HG signifikant höher.p<0.05 (siehe Abb. S4 im Anhang).
Zelllebensfähigkeitstest
Zunächst untersuchten wir, ob die durch die Zugabe von Glucose zum Medium erhöhte Osmolarität die Lebensfähigkeit von M1-Zellen unabhängig beeinflussen kann. Um dies zu untersuchen, verwendeten wir Mannitol als Osmolaritätskontrolle, da es die Glykolyse nicht beeinflusst (Mei et al.). 2022Wir testeten zwei verschiedene Konzentrationen (5 mM und 7.5 mM) und werteten die Ergebnisse über 24 Stunden aus. Zwischen der Kontrollgruppe (Ctrl) und den Gruppen mit 5 mM bzw. 7.5 mM Glukosezusatz (MNT) wurden keine signifikanten Unterschiede beobachtet. Die Gruppen mit 5 mM und 7.5 mM Glukosezusatz unterschieden sich jedoch signifikant voneinander (Abb. S2A). Nach 48 Stunden bestand kein signifikanter Unterschied zwischen der Kontrollgruppe und der Gruppe mit 7.5 mM Glukosezusatz (Abb. S2B). Auch nach 72 Stunden wurden keine signifikanten Unterschiede zwischen den Versuchsgruppen festgestellt (Abb. S2C). Basierend auf diesen Ergebnissen wurde entschieden, die Experimente mit einer Glukosekonzentration von 5 mM im Medium für die HG-Gruppen fortzusetzen.
Anschließend untersuchten wir den Einfluss von HG und/oder F auf die Lebensfähigkeit von M-1-Zellen nach 24 h, 48 h und 72 h. Der MTS-Test nach 24 h zeigte eine signifikante Reduktion der Zelllebensfähigkeit in den F5+HG-Gruppen (90.53±9.84 %) im Vergleich zu den Ctrl- (99.99±3.77 %) und HG-Gruppen (93.16±5.25 %).p<0.05; Abb. 1A). Nach 48 Stunden wurden keine statistischen Unterschiede zwischen den Gruppen beobachtet (Abb. 1B). Nach 72 Stunden war die Zellviabilität in der Kontrollgruppe (100 ± 8.17 %) signifikant niedriger als in den Gruppen F1 (133.2 ± 14.21 %) und F5 (134.9 ± 17.78 %) (p<0.05; Abb. 1C). Die Kombination von F5+HG (86.42±19.63%) verringerte die Lebensfähigkeit der M1-Zellen im Vergleich zu allen behandelten Gruppen signifikant, mit Ausnahme der Kontrollgruppe (Ctrl).p<0.05). Die Überlebensrate der F1-Gruppe (133.2 ± 14.21 %) war höher als die der Kontrollgruppe (Ctrl) (100 ± 8.17 %) und der F5+HG-Gruppe (86.42 ± 19.63 %) (p<0.05), während die F5-Gruppe (134.9±17.78%) im Vergleich zu Ctrl und F5+HG ebenfalls eine erhöhte Lebensfähigkeit aufwies (p<0.05). Darüber hinaus zeigte die Gruppe F1+HG (115.0±17.87%) einen signifikanten Anstieg im Vergleich zu den Gruppen F5+HG (86.42±19.63%) und HG (121.8±21.58%) (p<0.05). Aufgrund dieser Ergebnisse wurde der Zeitpunkt 72 h für die nachfolgenden Immunfluoreszenz-Assays ausgewählt, da er die deutlichsten Unterschiede in der Zellviabilität zwischen den Gruppen aufwies und relevanter für die Beurteilung potenzieller chronischer Auswirkungen der Exposition gegenüber HG und F war.
Lebensfähigkeitstest von M-1-Zellen. A MTS-Analyse von M-1-Zellen aus den Versuchsgruppen Ctrl, HG, F1, F5, F1+HG und F5+HG über einen Zeitraum von 24 Stunden, B MTS-Analyse von M-1-Zellen aus den Versuchsgruppen Ctrl, HG, F1, F5, F1+HG und F5+HG über einen Zeitraum von 48 Stunden, C MTS-Analyse von M-1-Zellen aus den Versuchsgruppen Ctrl, HG, F1, F5, F1+HG und F5+HG über einen Zeitraum von 72 Stunden. Die Daten werden als Mittelwert (%) ± Standardabweichung aus drei unabhängigen Experimenten dargestellt, die jeweils vierfach durchgeführt wurden.n=4). Die statistische Analyse erfolgte mittels ANOVA. pEin p-Wert < 0.05 wurde als signifikant angesehen. Zur visuellen Darstellung wurden den Gruppen anhand ihrer statistischen Unterschiede Buchstaben zugeordnet; Gruppen mit mindestens einem gemeinsamen Buchstaben unterscheiden sich nicht signifikant voneinander.
Morphologische Beurteilung durch F-Aktin-Färbung mit Phalloidin
Die Morphologie der M1-Zellkolonien wurde durch Anfärben von Aktinfilamenten in M-1-Nierengangepithelzellen untersucht. Dabei zeigten sich in allen Behandlungsgruppen filamentöse Zytoskelettstrukturen. Die Bildung von Zellclustern erwies sich als Hauptmerkmal dieses Zelltyps und war in allen Gruppen zu beobachten. In der Kontrollgruppe (Ctrl) erschienen die Aktinfilamente gut organisiert und bildeten ein dichtes, rundes Netzwerk im gesamten Zytoplasma. Die Zellen der F1-Gruppe wiesen eine ähnliche Morphologie wie die der Kontrollgruppe auf; einige Zellen zeigten jedoch eine länglichere Form, was auf eine Längsstreckung hindeutet. Diese Zellen bildeten keine so großen Cluster wie die runderen Zellen. In den Gruppen F5 und HG wurden große Cluster beobachtet, die jedoch ebenfalls eine Längsstreckung aufwiesen. In den Gruppen F1+HG und F5+HG bildeten sich Cluster, und die Zellen zeigten eine längliche Form (Abb. 1). 2).
Phalloidin-Färbung (grün) von Aktinfilamenten und DAPI-Färbung (blau) in M-1-Nierenzellen der Versuchsgruppen Ctrl, HG, F1, F5, F1+HG und F5+HG über einen Zeitraum von 72 Stunden. Die Aufnahmen wurden mit einer Kamera an einem aufrechten Fluoreszenzmikroskop mit 40-facher Vergrößerung angefertigt. Die Belichtungseinstellungen waren für alle Proben identisch. Der Maßstabsbalken entspricht 25 µm (40-fache Vergrößerung).
Immunfluoreszenz von KIM-1 in vitro und in vivo
Die Immunfluoreszenzanalyse von KIM-1 in M-1-Zellen zeigte eine unterschiedliche Signalstärke zwischen den Versuchsgruppen. In den Gruppen Ctrl und F1 war die KIM-1-Expression sehr gering, mit einem schwachen Fluoreszenzsignal. Die Gruppe F5 wies eine etwas höhere KIM-1-Fluoreszenzintensität auf. Im Gegensatz dazu zeigten die Gruppen HG und F1+HG eine deutlich höhere Fluoreszenzintensität als die Gruppe Ctrl. Interessanterweise war die KIM-1-Expression in der Gruppe F5+HG vergleichbar mit der der Gruppe Ctrl (Abb. 1). 3).
KIM-1-Färbung (grün) und DAPI-Färbung (blau) in M-1-Nierenzellen der Versuchsgruppen Ctrl, HG, F1, F5, F1+HG und F5+HG über einen Zeitraum von 72 Stunden. Die Bilder wurden mit einer Kamera an einem aufrechten Fluoreszenzmikroskop mit 20-facher und 40-facher Vergrößerung aufgenommen. LUT und Belichtungseinstellungen wurden für alle analysierten Bildfelder und Proben konstant gehalten. Der Maßstabsbalken entspricht 50 µm (20-fach) bzw. 25 µm (40-fach).
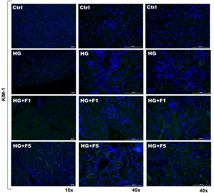
Die Immunfluoreszenzfärbung von KIM-1 in Nierengewebeproben zeigte deutliche Unterschiede in Signalintensität und Verteilung zwischen den Versuchsgruppen. In der Kontrollgruppe (Ctrl) war die KIM-1-Expression gering, mit nur einem sehr schwachen Fluoreszenzsignal. Sowohl die HG- als auch die F1+HG-Gruppe wiesen ähnliche Fluoreszenzmuster auf, mit einem schwachen KIM-1-Signal in den proximalen Tubuli. Die F5+HG-Gruppe war jedoch die einzige, die eine deutliche und stark positive KIM-1-Färbung mit einer auffälligen Fluoreszenz an den Rändern der proximalen Tubuli zeigte (Abb. 1). 4).
KIM-1-Färbung (grün) und DAPI-Färbung (blau) in Nierenproben diabetischer und nicht-diabetischer C57BL/6- und C57BL/6J-Mäuse der folgenden Versuchsgruppen: Ctrl, HG, F1+HG und F5+HG. Repräsentative Bilder wurden mittels Immunfluoreszenzmikroskopie mit 10-facher und 40-facher Vergrößerung aufgenommen. Die 40-fach vergrößerten Bilder zeigen zwei repräsentative Ausschnitte verschiedener Bereiche der Nierenrinde. LUT und Belichtungseinstellungen wurden für alle analysierten Felder und Proben konstant gehalten. Der Maßstabsbalken entspricht 100 µm (10-fach) bzw. 100 µm (40-fach).
Doppelbrechungsanalyse zur Bestimmung der Kollagenablagerung
Die Doppelbrechungsanalyse mittels Pikrosiriusrot-Färbung zeigte deutliche Unterschiede in der Kollagenexpression und der Nierengewebsmorphologie zwischen den Versuchsgruppen. Die Kontrollgruppe (Ctrl) wies eine normale Nierenmorphologie mit gut erhaltenen glomerulären und tubulären Strukturen und minimaler Kollagenablagerung im Interstitium und Periglomerulus auf. Diese Gruppen dienten als Referenz für die normale Nierenarchitektur. Im Gegensatz dazu zeigte die HG-Gruppe signifikante morphologische Veränderungen, insbesondere eine erhöhte Kollagenkonzentration um die Glomeruli, ein Indiz für Fibrose. Interessanterweise wiesen die Gruppen F1+HG und F5+HG eine ähnliche Nierenmorphologie wie die Kontrollgruppe auf, ohne signifikante Zunahme der Kollagenablagerung um die Glomeruli (Abb. 1). 5).
Die Picrosiriusrot-Färbung von Kollagen I und III wurde mittels Polarisationsmikroskopie in Nierenproben diabetischer und nicht-diabetischer C57BL/6- und C57BL/6j-Mäuse der folgenden Versuchsgruppen untersucht: Ctrl, HG, F1+HG und F5+HG. Kollagen-I-Fasern erscheinen gelborange bis rot, Kollagen-III-Fasern grün bis gelbgrün vor schwarzem Hintergrund. Repräsentative Bilder wurden mit einem inversen Binokularmikroskop mit 10-facher und 20-facher Vergrößerung aufgenommen. Die Belichtungseinstellungen waren für alle Proben identisch. Der Maßstabsbalken entspricht 500 µm (10-fach) bzw. 50 µm (20-fach).
Diskussion
Die Trinkwasserfluoridierung gilt als eine der größten Errungenschaften im Bereich der öffentlichen Gesundheit. Durch die Aufrechterhaltung optimaler Fluoridwerte können Gemeinden weltweit die Vorteile für die Mundgesundheit maximieren und gleichzeitig das allgemeine Wohlbefinden schützen. So wird ein entscheidendes Gleichgewicht zwischen Prävention und Sicherheit geschaffen (Buzalaf). 2018Unser Versuchsaufbau umfasste die Variation der F-Konzentration sowohl in der Zellkultur als auch im Tiermodell. Die Konzentrationen wurden so gewählt, dass sie Werte widerspiegeln, die für Humanstudien zu fluoridiertem Wasser und Fluorose relevant sind, wenn diese die von der WHO und der ADA empfohlenen Grenzwerte überschreiten (Ribeiro et al.). 2017Die Konzentrationen basierten insbesondere auf Regionen mit niedrigen bis normalen F-Werten (1–2.4 mgF/L) und Gebieten mit erhöhten F-Werten (10–80 mgF/L) (Mendoza-Schulz et al.). 2009Während sich zahlreiche Studien auf Hartgewebe konzentrierten (Arakawa et al. 2009; Otsuki et al. 2005) besteht ein wachsender Bedarf, die Auswirkungen einer chronischen Fluoridbelastung auf Weichgewebe, insbesondere auf die Nieren, zu verstehen, die eine entscheidende Rolle bei der Fluoridaufnahme und -ausscheidung spielen (Arakawa et al. ). 2009; Otsuki et al. 2005Dies ist besonders relevant für Bevölkerungsgruppen, die anfällig für die Entwicklung einer chronischen Nierenerkrankung sind, wie z. B. Erwachsene mit einer langjährigen Vorgeschichte von Typ-2-Diabetes, bei denen ein veränderter F-Stoffwechsel und eine erhöhte Anfälligkeit für dessen potenzielle Toxizität auftreten können (Jiménez-Córdova et al.). 2018Tatsächlich können verschiedene Faktoren, darunter Säure-Basen-Haushalt, körperliche Aktivität, Ernährungszustand, Alter und genetische Veranlagung, den Fluoridstoffwechsel beeinflussen und dessen Speicherung sowie potenzielle Toxizität modulieren (Buzalaf). 2018Ziel dieser Studie war es daher, die potenziellen negativen Auswirkungen von Fluorid (F) auf renale Tubulusepithelzellen (M-1) unter simulierten hyperglykämischen Bedingungen sowie dessen Einfluss auf die Nieren von Typ-2-Diabetes-Mäusen des Stammes C57BL/6J zu untersuchen. Wir analysierten die Wirkung von F auf die Viabilität, Morphologie und Expression des Schädigungsmarkers KIM-1 der M-1-Zellen in vitro und in vivo. Zusätzlich wurde die Kollagenablagerung in vivo mittels Doppelbrechungsanalyse nach Pikrosiriusrot-Färbung untersucht. Unseres Wissens ist dies die erste Studie, die die Wirkung einer gleichzeitigen Exposition gegenüber F und hohem Glukosespiegel (HG) in renalen M-1-Zellen und diabetischen Mausproben untersucht.
Zunächst untersuchten wir die Auswirkungen von hohem Glukosespiegel auf die Lebensfähigkeit und Morphologie von M-1-Nierentubulusepithelzellen. Diese Zellen nutzen primär SGLT2-Transporter zur Glukoserückresorption (Ghezzi et al.). 2018), während einer Hyperglykämie führt die Hochregulierung von SGLT2 zu einer erhöhten Glukoseaufnahme, was potenziell zu Glukotoxizität, oxidativem Stress und tubulären Schäden führen kann (Gou et al. ). 2016Frühere Studien zeigen unterschiedliche Reaktionen auf HG, wobei Mesangialzellen eine erhöhte Lebensfähigkeit/Proliferation aufweisen (Chen et al. 2016; Peres et al. 2017Während Epithelzellen eine stabile Lebensfähigkeit beibehalten, bestätigte unser MTS-Assay (24–72 h) dieses Muster in M-1-Zellen und zeigte im Vergleich zur Kontrollgruppe keine signifikanten Veränderungen der Lebensfähigkeit. Diese Zellspezifität beruht wahrscheinlich auf der unterschiedlichen Expression von Glukosetransportern: Epithelzellen exprimieren SGLT2, während Mesangialzellen SLC2A1 exprimieren (Peres et al.). 2017Aufbauend auf diesen Ergebnissen untersuchten wir anschließend die Auswirkungen von HG und/oder F-Exposition auf M-1-Tubulusepithelzellen, wobei wir uns auf die Viabilität und Morphologie konzentrierten. In dieser Studie zeigten beide F-behandelten Gruppen (F1 und F5) im Vergleich zur Kontrollgruppe (Ctrl) eine erhöhte Viabilität, wobei kein signifikanter Unterschied zwischen ihnen bestand.
Es ist außerdem erwähnenswert, dass F bekanntermaßen die Mitochondrienfunktionen und die ATP-Produktion beeinträchtigt, was zu Veränderungen im Zellstoffwechsel führt (Araujo et al.). 2019Die durch F induzierte Zytotoxizität wurde umfassend mit oxidativem Stress und Entzündungen in Verbindung gebracht (Kobayashi et al.). 2009Überschüssiges Fluorid fördert die Bildung reaktiver Sauerstoffspezies (ROS), die Depolarisation der Mitochondrienmembran und die Lipidperoxidation, was die Zellintegrität beeinträchtigt (Barbier et al., 2010; Korkmaz et al. 2022Darüber hinaus kann F proinflammatorische Signalwege wie NF-κB und MAPK aktivieren und so die Produktion von Zytokinen wie TNF-α steigern.a und IL-6 (Araujo et al. 2019; Shanthakumari et al. 2004Parallel dazu kann die Exposition gegenüber Fluorid die zelluläre Bioenergetik verändern, indem sie den glykolytischen Fluss verringert und den Glutaminstoffwechsel anregt, um die ATP-Synthese unter Stressbedingungen aufrechtzuerhalten (Lei et al.). 2019; Otsuki et al. 2005Diese adaptiven Stoffwechselreaktionen könnten die höhere Überlebensfähigkeit in den Gruppen mit niedrigem F-Gehalt erklären und spiegeln einen glutaminabhängigen Überlebensmechanismus wider. Diese Ergebnisse stimmen mit früheren Studien überein, die zeigen, dass niedrige F-Konzentrationen die Proliferation fördern können, während höhere Konzentrationen die Überlebensfähigkeit in der Regel abhängig vom Zelltyp und Kontext verringern (Arakawa et al.). 2009Gutowska et al. 2016; Korkmaz et al. 2022Lei et al. 2019; Otsuki et al. 2005; Santesso et al. 2021; Wei et al. 2014Unter Hyperglykämiebedingungen (HG) zeigte die Gruppe F1+HG eine signifikant höhere Überlebensrate als die Gruppe F5+HG. Dies deutet darauf hin, dass HG die Wirkung von F bei höherer Konzentration modulieren kann. Dieser Befund stimmt mit früheren Studien überein, die zeigen, dass F in den glykolytischen Stoffwechselweg eingreifen kann (Buzalaf). 2018Die Gruppe F5+HG unterschied sich jedoch statistisch nicht von der Kontrollgruppe (Ctrl), was darauf hindeutet, dass die Kombination aus hoher Fluoridkonzentration und hohem Glukosespiegel die Zelllebensfähigkeit nicht beeinträchtigt. Auch die Gruppe F1+HG zeigte im Vergleich zu den Gruppen F1 und F5 keine statistisch signifikanten Unterschiede in der Zelllebensfähigkeit; alle Gruppen wiesen höhere Werte als die Kontrollgruppe auf, was mit früheren Studien übereinstimmt (Arakawa et al.). 2009Gutowska et al. 2016; Korkmaz et al. 2022Lei et al. 2019; Otsuki et al. 2005; Santesso et al. 2021; Wei et al. 2014).
Da die meisten Effekte nach 72 Stunden beobachtet wurden, wurden die KIM-1- und Morphologie-Experimente zu diesem Zeitpunkt durchgeführt. KIM-1 ist ein Membranprotein, das in gesunden Nieren nur minimal exprimiert wird, in geschädigten proximalen Tubuli jedoch hochreguliert ist und somit als Marker für tubuläre Schäden dient (Humphreys et al.). 2013; Ichimura et al. 2004Darüber hinaus ist festzustellen, dass KIM-1 bei akuten Verletzungen vorteilhaft sein kann, da es die Reparatur unterstützt, was auf einen Versuch der Zellen hindeutet, sich als Reaktion auf die Schädigung anzupassen; in chronischen Stadien kann es jedoch zur Fibrose beitragen (Huo et al.). 2010Gou et al. (2016) zeigten, dass HG die KIM-1-Expression erhöht, was auf hyperglykämiebedingte Schäden hindeutet. Auch unser Zellmodell zeigte eine erhöhte KIM-1-Expression in der HG-Gruppe im Vergleich zur Kontrollgruppe (Ctrl). Dies spiegelte sich jedoch nicht im Tiermodell wider, in dem die HG-Gruppe nur eine geringe oder gar keine KIM-1-Expression aufwies. In der vorliegenden Studie erhöhten HG-Bedingungen die KIM-1-Expression in vitro, wie in den Gruppen HG und F1+HG beobachtet wurde. Interessanterweise zeigte die Gruppe F5+HG reduzierte KIM-1-Expressionswerte. Angesichts der Ergebnisse zur Zellviabilität lässt sich vermuten, dass die höhere KIM-1-Expression in den Gruppen HG und F1+HG darauf zurückzuführen ist, dass sowohl HG als auch F unter diesen Bedingungen einen stärkeren Einfluss zu haben schienen, während die Gruppe F5+HG keinen Unterschied zur Kontrollgruppe aufwies. Wir vermuten außerdem, dass die erhöhte KIM-1-Expression in den Gruppen HG und F1+HG mit einer akuten zellulären Reaktion zusammenhängen könnte, wie bereits erwähnt, wobei die Hochregulierung von KIM-1 Reparaturmechanismen unterstützen könnte (Huo et al.). 2010Daher korreliert die höhere Expression in diesen Gruppen wahrscheinlich mit den Ergebnissen zur Zellviabilität. Darüber hinaus zeigte die Phalloidin-Färbung in der Gruppe F5+HG eine gewisse Erhaltung der Zellmorphologie.
Wie im In-vivo-KIM-1-Assay beobachtet, wichen die Ergebnisse von denen des Zellmodells ab, da nur die F5+HG-Gruppe eine starke positive KIM-1-Expression aufwies. Diese Divergenz spiegelt die grundlegenden biologischen Unterschiede zwischen In-vitro- und In-vivo-Systemen wider. In Zellkulturen interagiert F unter streng kontrollierten Bedingungen direkt mit renalen Epithelzellen und löst akute Stressreaktionen wie mitochondriale Dysfunktion, oxidativen Stress und Enzymhemmung aus (Johnston und Strobel). 2020Andererseits wird im In-vivo-Modell die Fluoridbelastung durch komplexe systemische Faktoren moduliert, darunter Absorption, Verteilung, Metabolismus, Ausscheidung, hormonelle Steuerung und Immunregulation, die gemeinsam die renale Anfälligkeit und Reparaturfähigkeit beeinflussen (Zohoori und Buzalaf). 2022Darüber hinaus kann die Speziierung und Kompartimentierung von F in vivo durch seine Bindung an Plasmaproteine, Ionen oder Knochengewebe seine freie Konzentration und biologische Reaktivität verringern, ein Effekt, der in isolierten Zellsystemen nicht auftritt (Buzalaf). 2018; Buzalaf et al. 2001; Kobayashi et al. 2009Diese systemischen Pufferungsmechanismen, zusammen mit kompensatorischen antioxidativen und entzündungshemmenden Abwehrmechanismen wie der Aktivierung von Katalase und Glutathionperoxidase, wie in In-vivo-F-Expositionsmodellen gezeigt wurde (Morales-González et al. ). 2010) kann frühe Marker für tubuläre Schäden wie KIM-1 in vivo abschwächen. Insgesamt unterstreicht diese Divergenz die Dosis- und Zeitabhängigkeit der F-Effekte und deutet darauf hin, dass eine Hochregulierung von KIM-1 möglicherweise eine längere Exposition, hyperglykämische Bedingungen und eine hohe F-Belastung erfordert, um in vivo nachweisbar zu werden.
Um die mit der HG- und/oder F-Behandlung in vivo verbundenen Strukturveränderungen der Kollagenmatrix weiter zu untersuchen, nutzten wir schließlich die Doppelbrechungsanalyse mittels Picrosirius-Färbung, um Muster der Kollagenablagerung zu erkennen. Es ist bekannt, dass es bei diabetischer Nierenerkrankung nach einer Nierenschädigung zu einer vermehrten Kollagenablagerung kommt. Zellen setzen daraufhin Entzündungssignale und extrazelluläre Matrixproteine (ECM) frei, um die Heilung zu fördern. Übersteigt die Schädigung jedoch die Reparaturkapazität, führt die ECM-Akkumulation zu einer Störung der Gewebestruktur und in der Folge zu Fibrose, die die Organfunktion beeinträchtigen kann (De Gregorio et al.). 2025In der vorliegenden Studie zeigte die Kontrollgruppe (Ctrl) eine normale Nierenmorphologie mit minimaler Kollagenablagerung. Im Gegensatz dazu wies die HG-Gruppe vermehrt Kollagen um die Glomeruli auf, was auf eine beginnende Fibrose hindeutet. Al Omirreni et al. (2010) verabreichten Wistar-Ratten intraperitoneal NaF (5–50 mg/kg) und beobachteten eine verringerte Fibrose im Hartgewebe. Ebenso Siddiqi (2012Al Omireeni et al. berichteten über eine verminderte Kollagenbildung in den Nieren von Ratten, die mit 10 und 20 mg/kg NaF behandelt wurden. Im Einklang mit diesen Befunden zeigte auch unsere Studie eine reduzierte Kollagenablagerung in den mit Fluorid behandelten Gruppen, unabhängig von der Dosis. Die Gruppen F1+HG und F5+HG wiesen eine ähnliche Nierenmorphologie wie die Kontrollgruppe (Ctrl) auf, was auf eine hemmende Wirkung von Fluorid auf diabetesbedingte Fibrose hindeutet. Während der Einfluss von Fluoriden auf Kollagen in Hartgeweben gut dokumentiert ist, unterstützen diese Ergebnisse das Potenzial von Fluorid, die Kollagenablagerung in Weichgeweben wie den Nieren zu reduzieren. 2010).
Die gegensätzlichen Befunde hinsichtlich der Reduktion von Kollagen und der Zunahme der KIM-1-Expression im Tiermodell (F5+HG-Gruppe) sind eine interessante Beobachtung. Dies könnte darauf hindeuten, dass F verschiedene Bereiche der Niere auf unterschiedliche Weise beeinflusst. Während die Kollagenablagerung primär mit glomerulären Veränderungen und dem Umbau der extrazellulären Matrix assoziiert ist (Al Omireeni et al.), … 2010), spiegelt die KIM-1-Expression hauptsächlich eine proximale tubuläre Schädigung wider (Abid Khan et al. ). 2019Daher könnte Fluorid (F) unter hyperglykämischen Bedingungen zwar eine Schutzwirkung gegen Fibrose ausüben, gleichzeitig aber tubulären Stress verursachen. Zu den Einschränkungen dieser Studie zählt das Fehlen direkter funktioneller Analysen des Zellstoffwechsels, die tiefere Einblicke in die beteiligten bioenergetischen Mechanismen ermöglichen könnten. Zudem waren die Immunfluoreszenz- und Doppelbrechungsanalysen qualitativer Natur; eine Quantifizierung der Fluoreszenzintensität oder der Kollagenfläche wurde nicht durchgeführt, was die statistische Aussagekraft der Ergebnisse beeinträchtigen könnte. Zukünftige Studien sollten darüber hinaus weitere Marker für tubuläre Schädigung und Entzündung untersuchen, um ein umfassenderes Verständnis des Zusammenspiels zwischen Fluoridexposition und Hyperglykämie zu erlangen.
Aus Sicht der öffentlichen Gesundheit unterstreichen unsere Ergebnisse die Bedeutung einer optimalen Fluoridzufuhr, insbesondere bei Personen mit Stoffwechselstörungen wie Typ-2-Diabetes. Die beobachtete Modulation von Nierenmarkern unter hyperglykämischen Bedingungen deutet darauf hin, dass Diabetiker eine veränderte Fluoridverwertung aufweisen und dadurch anfälliger für nephrotoxische Effekte sind, wenn die Fluoridkonzentrationen in der Umwelt oder der Nahrung die empfohlenen Grenzwerte überschreiten. Daher bekräftigen diese Daten die Notwendigkeit einer kontinuierlichen Überwachung der Fluoridkonzentrationen im Trinkwasser und der Berücksichtigung des Stoffwechselstatus bei der Risikobewertung und der Festlegung von Fluoridierungsrichtlinien. Eine angemessene Fluoridzufuhr ist weiterhin unerlässlich, um die nachgewiesenen Vorteile für die Zahngesundheit mit der systemischen Sicherheit in Einklang zu bringen.
Schlussfolgerungen
Visuelle Zusammenfassung der wichtigsten experimentellen Ergebnisse. Im In-vivo-Assay zeigte die Immunfluoreszenzanalyse eine positive KIM-1-Färbung ausschließlich in der Gruppe F5+HG. Fibrose wurde in der Gruppe HG mittels Pikrosiriusrot-Doppelbrechung deutlich nachgewiesen, während die mit Fluorid (F) behandelten Gruppen nur minimale fibrotische Veränderungen aufwiesen. Diese Ergebnisse deuten darauf hin, dass die Behandlung mit Fluorid die Fibroseentwicklung hemmen könnte. In den In-vitro-Experimenten erhöhte die Behandlung mit Fluorid allein (F1 oder F5) die Zellviabilität im Vergleich zur Kontrollgruppe (Ctrl) signifikant, während die kombinierte Exposition mit F5+HG im Vergleich zu F1 und F5 zu einer Reduktion der Viabilität führte. Die Immunfluoreszenzdaten zeigten eine positive KIM-1-Färbung nur in den Gruppen HG und F1+HG. Die Phalloidin-Färbung zeigte charakteristische morphologische Veränderungen in allen experimentellen Gruppen (HG, F1, F5, F1+HG und F5+HG), wobei die Zellen im Vergleich zur Kontrollgruppe eine länglichere Morphologie aufwiesen.
Angesichts der zahlreichen Vorteile von Fluorid (F) für die Mundgesundheit und seiner weltweiten Verbreitung in Trinkwassersystemen ist es wichtig, seine potenziellen Wechselwirkungen mit anderen Organsystemen zu untersuchen. Diese Studie untersuchte die Wirkung von F auf renale Tubulusepithelzellen unter hyperglykämischen Bedingungen, sowohl in vitro als auch in vivo. Die Ergebnisse zeigten, dass F allein und in Kombination mit hohem Blutzuckerspiegel (HG) in vitro Veränderungen der Zellviabilität, Morphologie und KIM-1-Expression induzierte, was auf eine adaptive metabolische Reaktion auf fluoridbedingten Stress hindeutet. Diabetische Mäuse wiesen eine frühe Nierenfibrose auf, die durch die F-Behandlung gemildert wurde, was auf eine mögliche hemmende Wirkung gegen diabetesbedingte Nierenschäden hindeutet (siehe Abb.). 6 (Eine grafische Zusammenfassung der Ergebnisse ist beigefügt). Die erhöhte Expression von KIM-1 in der mit Fluorid behandelten Gruppe deutete jedoch auf eine mögliche tubuläre Schädigung in Kombination mit Diabetes mellitus bei höherer Dosierung hin. Diese Befunde unterstreichen die duale Rolle von Fluorid für die Nierengesundheit und verdeutlichen die Notwendigkeit, die Expositionsniveaus sorgfältig abzuwägen, insbesondere bei Risikogruppen für chronische Nierenerkrankungen in Regionen mit endemischer Fluorose.
Datenverfügbarkeit
Während der vorliegenden Studie wurden keine Datensätze generiert oder analysiert.
Referenzen
-
Abid Khan F, Fatima SS, Khan GM, Shahid S (2019). Bewertung des Nierenschädigungsmoleküls-1 als Biomarker für die Krankheitsprogression bei diabetischer Nephropathie: KIM-1 und diabetische Nephropathie. Pakistan Journal of Medical Sciences, 35(4). https://doi.org/10.12669/pjms.35.4.154
-
Al Omireeni EA, Siddiqi NJ, Alhomida AS (2010) Biochemische und histologische Untersuchungen zur Wirkung von Natriumfluorid auf Rattennierenkollagen. J Saudi Chem Soc 14(4):413–416. https://doi.org/10.1016/j.jscs.2010.05.004
-
Arakawa Y, Bhawal UK, Ikoma T, Kimoto K, Kuroha K, Kubota T, Hamada N, Kubota E, Arakawa H (2009) Niedrige Fluoridkonzentrationen stimulieren die Zellmotilität von Epithelzellen in vitro. Biomed Res 30(5):271–277. https://doi.org/10.2220/biomedres.30.271
-
Araujo TT, Barbosa Silva Pereira HA, Dionizio A, Sanchez CDC, De Souza Carvalho T, Da Silva Fernandes M, Rabelo Buzalaf MA (2019) Durch Fluorid induzierte Veränderungen im Energiestoffwechsel: Erkenntnisse aus dem Inneren der Mitochondrien. Chemosphäre 236:124357. https://doi.org/10.1016/j.chemosphere.2019.124357
-
Barbier O, Arreola-Mendoza L, Del Razo LM (2010) Molekulare Mechanismen der Fluoridtoxizität. Chem Biol Interact 188(2):319–333. https://doi.org/10.1016/j.cbi.2010.07.011
-
Biguetti CC, Cavalla F, Fonseca AC, Tabanez AP, Siddiqui DA, Wheelis SE, Taga R, Fakhouri WD, Silva RM, Rodrigues DC, Garlet GP (2021) Auswirkungen von Titankorrosionsprodukten auf die biologische Reaktion in vivo: Eine Grundlage für das Verständnis von Mechanismen des Versagens der Osseointegration. Frontiers in Materials 8:651970. https://doi.org/10.3389/fmats.2021.651970
-
Biguetti CC, Cavalla F, Silveira EM, Fonseca AC, Vieira AE, Tabanez AP, Rodrigues DC, Trombone APF, Garlet GP (2018). Modell der Osseointegration oraler Implantate in C57Bl/6-Mäusen: Mikro-Computertomographische, histologische, histomorphometrische und molekulare Charakterisierung. J Appl Oral Sci 26(0). https://doi.org/10.1590/1678-7757-2017-0601
-
Biguetti CC, Vieira AE, Cavalla F, Fonseca AC, Colavite PM, Silva RM, Trombone APF, Garlet GP (2018b) CCR2 trägt zur Migration von F4/80+-Zellen entlang der intramembranösen Knochenheilung im Oberkiefer bei, jedoch beeinträchtigt ein Mangel an CCR2 den Heilungserfolg nicht entscheidend. Front Immunol 9:1804. https://doi.org/10.3389/fimmu.2018.01804
-
Buzalaf MAR (2018) Überprüfung der Fluoridaufnahme und Angemessenheit der aktuellen Leitlinien. Adv Dent Res 29(2):157–166. https://doi.org/10.1177/0022034517750850
-
Buzalaf MAR, Cury JA, Whitford GM (2001). Fluoridexpositionen und Zahnfluorose: Eine Literaturübersicht. JA
-
Chen X, Wang DD, Wei T, He SM, Zhang GY, Wei QL (2016) Wirkungen von Astragalosiden aus Radix Astragali über die durch hohe Glukosekonzentrationen induzierte Proliferation und extrazelluläre Matrixakkumulation in glomerulären Mesangialzellen. Exp Ther Med 11(6):2561–2566. https://doi.org/10.3892/etm.2016.3194
-
De Gregorio V, Barua M, Lennon R (2025) Kollagenbildung, Funktion und Rolle bei Nierenerkrankungen. Nat Rev Nephrol 21(3):200–215. https://doi.org/10.1038/s41581-024-00902-5
-
Dionizio A, Melo CGS, Sabino-Arias IT, Araujo TT, Ventura TMO, Leite AL, Souza SRG, Santos EX, Heubel AD, Souza JG, Perles JVCM, Zanoni JN, Buzalaf MAR (2020) Auswirkungen akuter Fluoridexposition auf Jejunum und Ileum von Ratten: Erkenntnisse aus proteomischen und enterischen Innervationsanalysen. Sci Total Environ 741:140419. https://doi.org/10.1016/j.scitotenv.2020.140419
-
Dionizio A, Pereira HABS, Araujo TT, Sabino-Arias IT, Fernandes MS, Oliveira KA, Raymundo FS, Cestari TM, Nogueira FN, Carvalho RA, Buzalaf MAR (2019) Einfluss der Dauer der Fluoridexposition und der Art der Ernährung auf Lipidparameter und De-novo-Lipogenese. Biol Trace Elem Res 190(1):157–171. https://doi.org/10.1007/s12011-018-1542-4
-
Ghezzi C, Loo DDF, Wright EM (2018) Physiologie der renalen Glukoseverarbeitung über SGLT1, SGLT2 und GLUT2. Diabetologia 61(10):2087–2097. https://doi.org/10.1007/s00125-018-4656-5
-
Gilbert ER, Fu Z, Liu D (2011) Entwicklung eines nicht-genetischen Mausmodells für Typ-2-Diabetes. Exp Diabetes Res 2011:1–12. https://doi.org/10.1155/2011/416254
-
Gou R, Chen J, Sheng S, Wang R, Fang Y, Yang Z, Wang L, Tang L (2016) KIM-1 vermittelt durch hohe Glukosekonzentrationen induzierte Autophagie und Apoptose in renalen Tubulusepithelzellen. Cell Physiol Biochem 38(6):2479–2488. https://doi.org/10.1159/000445598
-
Gstraunthaler G, Seppi T, Pfaller W (1999) Einfluss von Kulturbedingungen, Kulturmediumvolumen und Glukosegehalt auf die metabolischen Eigenschaften von Nierenepithelzellkulturen. Cell Physiol Biochem 9(3):150–172. https://doi.org/10.1159/000016312
-
Gutowska I, Baranowska-Bosiacka I, Siwiec E, Szczuko M, Kolasa A, Kondarewicz A, Rybicka M, Dunaj-Stałczyk M, Wiernicki I, Chlubek D, Stachowska E (2016) Blei verstärkt den Einfluss von Fluorid auf apoptotische Prozesse in der HepG2-Leberzelllinie. Toxicol Ind Health 32(3):517–525. https://doi.org/10.1177/0748233713502843
-
Hossain MJ, Al?Mamun Md, Islam MR (2024) Diabetes mellitus, das am schnellsten wachsende globale Problem der öffentlichen Gesundheit: Die Früherkennung sollte im Fokus stehen. Health Sci Rep 7(3):e2004. https://doi.org/10.1002/hsr2.2004
-
Humphreys BD, Xu F, Sabbisetti V, Grgic I, Naini SM, Wang N, Chen G, Xiao S, Patel D, Henderson JM, Ichimura T, Mou S, Soeung S, McMahon AP, Kuchroo VK, Bonventre JV (2013) Chronische Expression des epithelialen Nierenschädigungsmoleküls-1 verursacht Nierenfibrose bei Mäusen. J Clin Invest 123(9):4023–4035. https://doi.org/10.1172/JCI45361
-
Huo W, Zhang K, Nie Z, Li Q, Jin F (2010) Kidney injury molecule-1 (KIM-1): a novel kidney specific injury molecule playing potential double-edge functions in kidney injury. Transplant Rev 24(3):143–146. https://doi.org/10.1016/j.trre.2010.02.002
-
Ichimura T, Hung CC, Yang SA, Stevens JL, Bonventre JV (2004) Kidney injury molecule-1: a tissue and urinary biomarker for nephrotoxicant-induced renal injury. Am J Physiol Renal Physiol 286(3):F552–F563. https://doi.org/10.1152/ajprenal.00285.2002
-
Jiménez-Córdova MI, Cárdenas-González M, Aguilar-Madrid G, Sanchez-Peña LC, Barrera-Hernández Á, Domínguez-Guerrero IA, González-Horta C, Barbier OC, Del Razo LM (2018) Bewertung von Biomarkern für Nierenschäden in einer erwachsenen mexikanischen Bevölkerung, die umweltbedingt Fluorid und niedrigem Arsengehalt ausgesetzt war Ebenen. Toxicol Appl Pharmacol 352:97–106. https://doi.org/10.1016/j.taap.2018.05.027
-
Johnston NR, Strobel SA (2020) Prinzipien der Fluoridtoxizität und der zellulären Reaktion: eine Übersicht. Arch Toxicol 94(4):1051–1069. https://doi.org/10.1007/s00204-020-02687-5
-
Kobayashi CAN, Leite AL, Silva TL, Santos LD, Nogueira FCS, Oliveira RC, Palma MS, Domont GB, Buzalaf MAR (2009) Proteomanalyse der Niere von Ratten nach chronischer Fluoridexposition. Chem Biol Interact 180(2):305–311. https://doi.org/10.1016/j.cbi.2009.03.009
-
Korkmaz R, Yüksek V, Dede S (2022) Die Auswirkungen einer Natriumfluorid(NaF)-Behandlung auf den PI3K/Akt-Signalweg in NRK-52E-Zellen. Biol Trace Elem Res 200(7):3294–3302. https://doi.org/10.1007/s12011-021-02927-4
-
Lei Y, Devarapu SK, Motrapu M, Cohen CD, Lindenmeyer MT, Moll S, Kumar SV, Anders HJ (2019) Interleukin-1-Inhibition bei chronischer Nierenerkrankung in adipösen Mäusen mit Typ-2-Diabetes. Front Immunol 10:1223. https://doi.org/10.3389/fimmu.2019.01223
-
Lima Leite A, Gualiume Vaz Madureira Lobo J, Barbosa Da Silva Pereira HA, Silva Fernandes M, Martini T, Zucki F, Sumida DH, Rigalli A, Buzalaf MAR (2014) Proteomische Analyse des Gastrocnemius-Muskels bei Ratten mit Streptozotocin-induziertem Diabetes und chronischer Fluorid-Exposition. PLUS EINS 9(9):e106646. https://doi.org/10.1371/journal.pone.0106646
-
Lobo JGVM, Leite AL, Pereira HABS, Fernandes MS, Peres-Buzalaf C, Sumida DH, Rigalli A, Buzalaf MAR (2015) Niedrige Fluoridexposition erhöht die Insulinsensitivität bei experimentellem Diabetes. J Dent Res 94(7):990–997. https://doi.org/10.1177/0022034515581186
-
Lupo M, Buzalaf MAR, Rigalli A (2011) Wirkung von fluoridiertem Wasser auf den Plasma-Insulinspiegel und die Glukosehomöostase bei Ratten mit Niereninsuffizienz. Biol Trace Elem Res 140(2):198–207. https://doi.org/10.1007/s12011-010-8690-5
-
Meenakshi S, Bahekar T, Narapaka PK, Pal B, Prakash V, Dhingra S, Kumar N, Murti K (2024) Einfluss der Fluorose auf molekulare Prädiktoren in der Pathogenese von mit Typ-2-Diabetes assoziierten mikrovaskulären Komplikationen. J Trace Elem Med Biol 86:127506. https://doi.org/10.1016/j.jtemb.2024.127506
-
Mei S, Li L, Zhou X, Xue C, Livingston MJ, Wei Q, Dai B, Mao Z, Mei C, Dong Z (2022) Anfälligkeit für Nierenfibrose bei Diabetes: Rolle des Hypoxie-induzierbaren Faktors 1. FASEB J. https://doi.org/10.1096/fj.202200845R
-
Mendoza-Schulz A, Solano-Agama C, Arreola-Mendoza L, Reyes-Márquez B, Barbier O, Del Razo LM, Mendoza-Garrido ME (2009) Die Auswirkungen von Fluorid auf Zellmigration, Zellproliferation und Zellstoffwechsel in GH4C1-Hypophysentumorzellen. Toxicol Lett 190(2):179–186. https://doi.org/10.1016/j.toxlet.2009.07.014
-
Merchant ML, Klein JB (2007) Proteomik und diabetische Nephropathie. Semin Nephrol 27(6):627–636. https://doi.org/10.1016/j.semnephrol.2007.09.003
-
Morales-González JA, Gutiérrez-Salinas J, García-Ortiz L, Del Carmen Chima-Galán M, Madrigal-Santillán E, Esquivel-Soto J, Esquivel-Chirino C, García-Luna Y González-Rubio M (2010) Wirkung der Einnahme von Natriumfluorid auf die Malondialdehydkonzentration und die Aktivität antioxidativer Enzyme bei Ratten Erythrozyten. Int J Mol Sci 11(6):2443–2452. https://doi.org/10.3390/ijms11062443
-
Otsuki S, Morshed SRM, Chowdhury SA, Takayama F, Satoh T, Hashimoto K, Sugiyama K, Amano O, Yasui T, Yokote Y, Akahane K, Sakagami H (2005) Möglicher Zusammenhang zwischen Glykolyse und durch Natriumfluorid induzierter Apoptose. J Dent Res 84(10):919–923. https://doi.org/10.1177/154405910508401009
-
Pereira HABDS, Dionizio AS, Araujo TT, Fernandes MDS, Iano FG, Buzalaf MAR (2018) Vorgeschlagener Mechanismus zum Verständnis der Dosis- und Zeitabhängigkeit der Fluoridwirkungen in der Leber. Toxicol Appl Pharmacol 358:68–75. https://doi.org/10.1016/j.taap.2018.09.010
-
Pereira HABDS, Leite ADL, Charone S, Lobo JGVM, Cestari TM, Peres-Buzalaf C, Buzalaf MAR (2013) Proteomanalyse der Leber von Ratten nach chronischer Fluoridexposition. PLoS ONE 8(9):e75343. https://doi.org/10.1371/journal.pone.0075343
-
Peres GB, Schor N, Michelacci YM (2017) Einfluss hoher Glukosekonzentrationen und AGEs auf kultivierte Nierenzellen. Auswirkungen auf die Zellviabilität, lysosomale Enzyme und Effektoren zellulärer Signalwege. Biochimie 135:137–148. https://doi.org/10.1016/j.biochi.2017.02.004
-
Ribeiro DA, Cardoso CM, Yujra VQ (2017) Fluorid induziert Apoptose in Säugetierzellen: In-vitro- und In-vivo-Studien. Anticancer Res. https://doi.org/10.21873/anticanres.11883
-
Saad H, Escoube R, Babajko S, Houari S (2022) Fluoridaufnahme durch Zahnpflegeprodukte: eine systematische Übersicht. Frontiers in Oral Health 3:916372. https://doi.org/10.3389/froh.2022.916372
-
Santesso MR, Oliveira FA, Tokuhara CK, Oliveira GSN, Levy FM, Antonio LS, Buzalaf MAR, Oliveira RC (2021) Fluorideffekte auf die Zellviabilität und die ENaC-Expression in Nierenepithelzellen. Toxicol Mech Methods 31(8):566–571. https://doi.org/10.1080/15376516.2021.1938325
-
Shanthakumari D, Srinivasalu S, Subramanian S (2004) Wirkung einer Fluoridvergiftung auf die Lipidperoxidation und den Antioxidantienstatus bei Versuchsratten. Toxicology 204(2–3):219–228. https://doi.org/10.1016/j.tox.2004.06.058
-
Siddiqi NJ (2012) Untersuchungen zum vergleichenden Effekt von Natriumfluorid auf den Kollagengehalt in verschiedenen Organen der Ratte. Afrikanische Zeitschrift für Biotechnologie, 11(55). https://doi.org/10.5897/AJB11.1707
-
Srinivasan K, Ramarao P (2004) Tiermodelle in der Typ-2-Diabetes-Forschung: Ein Überblick.
-
Trivedi N, Mithal A, Gupta SK, Godbole MM, The Fluoride Collaborative Study Group (1993) Reversible Beeinträchtigung der Glukosetoleranz bei Patienten mit endemischer Fluorose. Diabetologia 36(9):826–828. https://doi.org/10.1007/BF00400357
-
Wei Y, Wu Y, Zeng B, Zhang H (2014) Auswirkungen der Natriumfluoridbehandlung in vitro auf Zellproliferation, BMP-2- und BMP-3-Expression in menschlichen Osteosarkom-MG-63-Zellen. Biol Trace Elem Res 162 (1–3):18–25. https://doi.org/10.1007/s12011-014-0148-8
-
Zohoori FV, Buzalaf M (2022) Fluorid. Adv Nutr 13(6):2679–2680. https://doi.org/10.1093/advances/nmac050
Danksagungen
Diese Arbeit wurde von der Fundação de Amparo à Pesquisa do Estado de São Paulo (FAPESP) (Proc. #2024/08086-6 und #2021/13697-6) und CNPq (#308897/2021-8) unterstützt. CB würdigt das University of Texas System durch finanzielle Unterstützung.
Hinweis:
Dieses Manuskript basiert auf einer Masterarbeit, die noch nicht öffentlich zugänglich gemacht wurde.
Förderung
Die Article Processing Charge (APC) für die Veröffentlichung dieser Forschung wurde von der Coordenação de Aperfeiçoamento de Pessoal de Nível Superior – Brasil (CAPES) finanziert (ROR-Kennung: 00x0ma614).
Ethikerklärungen
Interessenkonflikt
Die Autoren erklären keine konkurrierenden Interessen.
Zusätzliche Informationen
Diese Publikation ist Tânia Mary Cestari gewidmet.
Tânia Mary Cestari: Verstorben.
Zusatzinformationen
Nachfolgend finden Sie den Link zum elektronischen Zusatzmaterial.
10735_2025_10670_MOESM1_ESM.tif
Ergänzendes Material 1. Ergänzende Abb. 1. Nüchternblutzuckerwerte vor und nach der Induktion von Typ-2-Diabetes mit STZ. Der Nüchternblutzucker wurde eine Woche vor und eine Woche nach der STZ-Injektion in den Gruppen Ctrl, HG, F1+HG und F5+HG gemessen. Die Daten werden als Mittelwert ± Standardabweichung dargestellt, wobei die Gruppengrößen variieren. n= 8–10 Tiere. Die statistische Analyse erfolgte mittels ANOVA. pEin p-Wert < 0.05 wurde als signifikant betrachtet. Zur visuellen Darstellung wurden den Gruppen anhand ihrer statistischen Unterschiede Buchstaben zugeordnet; Gruppen mit mindestens einem gemeinsamen Buchstaben unterscheiden sich nicht signifikant voneinander.
10735_2025_10670_MOESM2_ESM.tiff
Ergänzendes Material 2. Ergänzende Abb. 2. Viabilitätstest. (A) MTS-Analyse von M-1-Zellen, die über einen Zeitraum von 24 h mit Mannitol in Konzentrationen von 5 mM und 7.5 mM behandelt wurden. (B) MTS-Analyse von M-1-Zellen, die über einen Zeitraum von 48 h mit Mannitol in Konzentrationen von 5 mM und 7.5 mM behandelt wurden. (C) MTS-Analyse von M-1-Zellen, die über einen Zeitraum von 72 h mit Mannitol in Konzentrationen von 5 mM und 7.5 mM behandelt wurden. Die Werte sind als Mittelwert (%) ± Standardabweichung aus zwei unabhängigen Experimenten angegeben. Zur besseren Übersicht wurden die Gruppen anhand ihrer statistischen Unterschiede mit Buchstaben gekennzeichnet.pGruppen, die mindestens einen gemeinsamen Buchstaben haben, unterscheiden sich nicht signifikant voneinander (p < 0.05).
10735_2025_10670_MOESM3_ESM.tif
Ergänzendes Material 3. Ergänzende Abb. 3. Körpergröße acht der Gruppen Ctrl, HG, F1+HG und F5+HG während des gesamten Versuchszeitraums. (A) Woche 0, (B) Woche 8, als STZ intraperitoneal zur Diabetesinduktion verabreicht wurde, und (C) Woche 12, entsprechend dem Versuchsende. Die Daten werden als Mittelwert ± Standardabweichung dargestellt, wobei die Gruppengrößen variieren. n= 8–10 Tiere. Die statistische Analyse erfolgte mittels ANOVA. pEin p-Wert < 0.05 wurde als signifikant betrachtet. Zur visuellen Darstellung wurden den Gruppen anhand ihrer statistischen Unterschiede Buchstaben zugeordnet; Gruppen mit mindestens einem gemeinsamen Buchstaben unterscheiden sich nicht signifikant voneinander.
10735_2025_10670_MOESM4_ESM.tif
Ergänzendes Material 4. Ergänzende Abb. 4. Fluorid(F)-Quantifizierung im Nierengewebe der Gruppen Ctrl, HG, F1+HG und F5+HG. Die Daten werden als Mittelwert ± Standardabweichung dargestellt, wobei die Gruppengrößen variieren. n= 6 Tiere. Die statistische Analyse erfolgte mittels ANOVA. pEin p-Wert < 0.05 wurde als signifikant betrachtet. Zur visuellen Darstellung wurden den Gruppen anhand ihrer statistischen Unterschiede Buchstaben zugeordnet; Gruppen mit mindestens einem gemeinsamen Buchstaben unterscheiden sich nicht signifikant voneinander.
Zitieren Sie diesen Artikel
Ribeiro, L., Pereira, HABd, Trevizol, JS et al. Kombinierte Auswirkungen chronisch hoher Glukose- und Fluoridkonzentrationen auf Nierenzellen: explorative In-vitro- und In-vivo-Studie. J Mol Histol 57, 42 (2026). https://doi.org/10.1007/s10735-025-10670-6






